[prev][index][next]

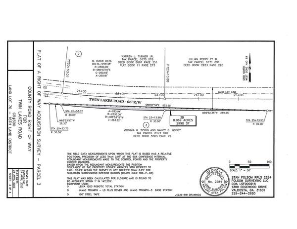
Survey: VIRGINIA G. TYSON AND NANCY G. HOBBY (2 of 4)

Condemning Right of Way and Drainage Easement for Twin Lakes Road TSPLOST Paving Project; Parcel 3
Two wells, a lift station, water meters, and drainage eminent domain @ LCC
26 January 2026
 
Survey: VIRGINIA G. TYSON AND NANCY G. HOBBY (2 of 4)
bigger PDF