WWALS Watershed Coalition

WWALS Watershed Coalition, Inc. (WWALS) is Suwannee RIVERKEEPER® WWALS advocates for conservation and stewardship of the surface waters and groundwater of the Suwannee River Basin and Estuary, in south Georgia and north Florida, among them the Withlacoochee, Willacoochee, Alapaha, Little, Santa Fe, and Suwannee River watersheds, through education, awareness, environmental monitoring, and citizen activities.

WWALS
Home

Two wells, a lift station, water meters, and drainage eminent domain @ LCC 2026-01-26 [Up]

You can help with clean, swimmable, fishable, drinkable, water in the 10,000-square-mile Suwannee River Basin in Florida and Georgia by becoming a WWALS member today!
https://wwals.net/donations/

Pictures

MMM

[Two wells, a lift station, surplus water meter components, and drainage eminent domain @ Lowndes County Commission 2026-01-26]
Two wells, a lift station, surplus water meter components, and drainage eminent domain @ Lowndes County Commission 2026-01-26

[Two wells, a lift station, surplus water meter components, and drainage eminent domain @ Lowndes County Commission 2026-01-26]
Two wells, a lift station, surplus water meter components, and drainage eminent domain @ Lowndes County Commission 2026-01-26

LCC Agenda 2026-01-26

[For Consideration and Reports]
For Consideration and Reports
PDF

[Another Report and Adjournment]
Another Report and Adjournment
PDF

Spring Creek Water Treatment Plant Design Build Project

[BUDGET IMPACT: $214,412.00 FUNDING SOURCE: (xX) SPLOST due to GA-EPD Consent Order, one bid, Reynolds Construction]
BUDGET IMPACT: $214,412.00 FUNDING SOURCE: (xX) SPLOST due to GA-EPD Consent Order, one bid, Reynolds Construction
PDF

[AGREEMENT BETWEEN OWNER AND DESIGN-BUILDER FOR PROGRESSIVE DESIGN-BUILD]
AGREEMENT BETWEEN OWNER AND DESIGN-BUILDER FOR PROGRESSIVE DESIGN-BUILD
PDF

[Page 5]
Page 5
PDF

[THIS AGREEMENT is by and between __ Lowndes County, Georgia and Reynolds Construction of Georgia, LLC]
THIS AGREEMENT is by and between __ Lowndes County, Georgia and Reynolds Construction of Georgia, LLC
PDF

[PRELIMINARY STAGE SCHEDULE]
PRELIMINARY STAGE SCHEDULE
PDF

[Page 8]
Page 8
PDF

[Table: Preliminary Stage Compensation Amounts]
Table: Preliminary Stage Compensation Amounts
PDF

[Page 10]
Page 10
PDF

[Page 11]
Page 11
PDF

[Page 12]
Page 12
PDF

[Page 13]
Page 13
PDF

[Page 14]
Page 14
PDF

[Page 15]
Page 15
PDF

[IN WITNESS WHEREOF]
IN WITNESS WHEREOF
PDF

ExA

[EXHIBIT A — PRELIMINARY STAGE WORK]
EXHIBIT A — PRELIMINARY STAGE WORK
PDF

[19. Revise the Report (and any other deliverables) in response to Owner’s comments, as]
19. Revise the Report (and any other deliverables) in response to Owner’s comments, as
PDF

[7. Revise the Preliminary Technical Documents in response to Owner’s comments, as]
7. Revise the Preliminary Technical Documents in response to Owner’s comments, as
PDF

[Page 20]
Page 20
PDF

[Page 21]
Page 21
PDF

[Page 22]
Page 22
PDF

[Conceptual Yard Piping Plan]
Conceptual Yard Piping Plan
PDF

[ITEM D: MISCELLANEOUS SERVICES ALLOWANCE]
ITEM D: MISCELLANEOUS SERVICES ALLOWANCE
PDF

[Page 25]
Page 25
PDF

[Page 26]
Page 26
PDF

[Page 27]
Page 27
PDF

[Page 28]
Page 28
PDF

[EXHIBIT C: HOURLY BILLING RATES]
EXHIBIT C: HOURLY BILLING RATES
PDF

SCAd

[Spring Creek WTP Design Build Ad, 2025-08-01 --Lowndes County Public Works]
Spring Creek WTP Design Build Ad, 2025-08-01 --Lowndes County Public Works
PDF

SCWT

[Spring Creek Water Tower, 2026-01-24 --Google Street View]
Spring Creek Water Tower, 2026-01-24 --Google Street View

[Map: Spring Creek Well --WLRWT 2026-01-25]
Map: Spring Creek Well --WLRWT 2026-01-25

Peterson Road Lift Station Pump Repair

[BUDGET IMPACT: $24,400.00 FUNDING SOURCE: (XxX) Annual, Xylem repair]
BUDGET IMPACT: $24,400.00 FUNDING SOURCE: (XxX) Annual, Xylem repair
PDF

[Xylem invoice]
Xylem invoice
PDF

[Page 32]
Page 32
PDF

[Page 33]
Page 33
PDF

[Page 34]
Page 34
PDF

[Preventative Maintenance Agreement]
Preventative Maintenance Agreement
PDF

[Xylem quote for a new Flygt pump]
Xylem quote for a new Flygt pump
PDF

[Page 37]
Page 37
PDF

[Page 38]
Page 38
PDF

[Page 29]
Page 29
PDF

[Again: Preventative Maintenance Agreement]
Again: Preventative Maintenance Agreement
PDF

[Page 41]
Page 41
PDF

[Page 42]
Page 42
PDF

[Page 43]
Page 43
PDF

PRLS

[Roadway Lift Station, Peterson Road, 2026-01-24 --Google Street View]
Roadway Lift Station, Peterson Road, 2026-01-24 --Google Street View

Maps

[Map: 1201 Peterson Road Lake Park Deese Tract Creek, 2026-01-24 --TNM]
Map: 1201 Peterson Road Lake Park Deese Tract Creek, 2026-01-24 --TNM

PRWT

[Peterson Road Water Tower, 2026-01-26 --Google Street View]
Peterson Road Water Tower, 2026-01-26 --Google Street View

Resolution to Sell Surplus Water Meter Components

[Page 44 replacing water meters that have reached the end of their useful life.]
Page 44 replacing water meters that have reached the end of their useful life.
PDF

[A RESOLUTION]
A RESOLUTION
PDF

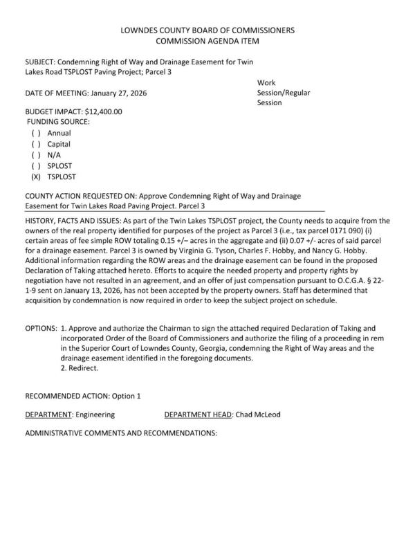
Condemning Right of Way and Drainage Easement for Twin Lakes Road TSPLOST Paving Project; Parcel 3

[BUDGET IMPACT: $12,400.00 FUNDING SOURCE: (xX) TSPLOST]
BUDGET IMPACT: $12,400.00 FUNDING SOURCE: (xX) TSPLOST
PDF

[IN THE SUPERIOR COURT OF LOWNDES COUNTY STATE OF GEORGIA]
IN THE SUPERIOR COURT OF LOWNDES COUNTY STATE OF GEORGIA
PDF

[under Article 1 of Chapter 3 of Title 32 of the Official Code of Georgia Annotated; and]
under Article 1 of Chapter 3 of Title 32 of the Official Code of Georgia Annotated; and
PDF

[NOW, THEREFORE, the premises considered, the Board of Commissioners of Lowndes]
NOW, THEREFORE, the premises considered, the Board of Commissioners of Lowndes
PDF

[NOW, THEREFORE, IT IS HEREBY ORDERED by the governing authority of]
NOW, THEREFORE, IT IS HEREBY ORDERED by the governing authority of
PDF

[Chapter 3 of Title 32 of the Official Code of Georgia Annotated and that it is necessary to]
Chapter 3 of Title 32 of the Official Code of Georgia Annotated and that it is necessary to
PDF

[ANNEX 1 TO ORDER OF BOARD OF COMMISSIONERS: RIGHT OF Way AREAS]
ANNEX 1 TO ORDER OF BOARD OF COMMISSIONERS: RIGHT OF Way AREAS
PDF

[Page 53]
Page 53
PDF

[Page 54]
Page 54
PDF

[Page 55]
Page 55
PDF

[Page 56]
Page 56
PDF

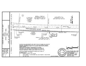
[Survey: VIRGINIA G. TYSON AND NANCY G. HOBBY (1 of 4)]
Survey: VIRGINIA G. TYSON AND NANCY G. HOBBY (1 of 4)
PDF

[Survey: VIRGINIA G. TYSON AND NANCY G. HOBBY (2 of 4)]
Survey: VIRGINIA G. TYSON AND NANCY G. HOBBY (2 of 4)
PDF

[Survey: VIRGINIA G. TYSON AND NANCY G. HOBBY (3 of 4)]
Survey: VIRGINIA G. TYSON AND NANCY G. HOBBY (3 of 4)
PDF

[Survey: VIRGINIA G. TYSON AND NANCY G. HOBBY (4 of 4)]
Survey: VIRGINIA G. TYSON AND NANCY G. HOBBY (4 of 4)
PDF

[Page 61]
Page 61
PDF

[Survey: Twin Lakes Road Alignment]
Survey: Twin Lakes Road Alignment
PDF

[Page 63]
Page 63
PDF

[SWORN APPRAISER’S STATEMENT]
SWORN APPRAISER’S STATEMENT
PDF