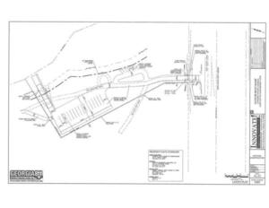
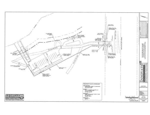
These are the maps Lowndes County Engineer Mike Fletcher presented at the
Naylor Town Hall 2016-04-14.
Bret Huntley asked him to send them, and he did.
These have more detail than the previous aerial maps.
-jsq
Plat submitted 2015-06-08 (PDF)
Roads and parking lot (PDF)
Short Link:


